Prevu by reAlpha
BuySellBlogBrowse Listings

537 Cloverleaf DrMonrovia, CA 91016

For Sale

$3,300,000

Smart Buyer Rebate $33,000

This prime Monrovia foothill offering presents a rare opportunity to acquire both a quality income-producing property and a high-potential development site in one. Currently generating steady rental income with a ~3% CAP rate, the property offers substantial room for improvement and future upside. It’s ideal for investors who wish to maintain income while advancing subdivision or redevelopment plans, minimizing carrying costs during the entitlement process.

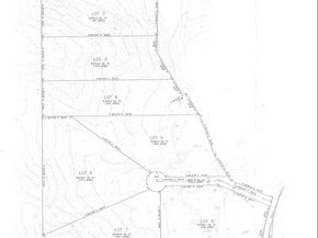
The portfolio comprises two contiguous parcels: 537 Cloverleaf Dr. (APN: 8503-001-029) — approximately 4.88 acres with a 2,683 SF dwelling AND 539 Cloverleaf Dr. (APN: 8503-002-008) — approximately 14.97 acres with a 2,390 SF dwelling

Together, the combined 19.85-acre property provides utilities on site. According to recent surveyor analysis, there is potential for 6 to 8 luxury single-family home lots. The optimal layout would likely include six primary lots, while two additional lots could be achieved with more complex hillside grading and retaining solutions.

Set amid the natural beauty of Monrovia’s hillside neighborhoods and just minutes from Old Town Monrovia, schools, and major transportation corridors, this property blends immediate income stability with long-term development potential—a rare combination in one of the San Gabriel Valley’s most desirable submarkets. All provided information should be confirmed by any interested parties.

Listed by Matthew Modica

·

License #02159930

·

Long Dragon Realty Group, Inc.

·

774-218-8941

Last updated April 10, 2026

·

Source: CRMLS #AR25241101

Listing Facts

  • TypeMulti-family
  • NeighborhoodCloverleaf Canyon
  • Days on Prevu198

Amenities

  • Parking

Location

Mortgage Calculator

Listing History

04/11/2026
Price Decreased
$3,300,000
04/09/2026
Price Decreased
$3,500,000
10/28/2025
Status changed to Active
$3,980,000
10/23/2025
Status changed to Removed from Feed
$3,980,000
10/16/2025
Listed by Long Dragon Realty Group, Inc.
$3,980,000

Property Details for 537 Cloverleaf Dr

Association

Amenities

  • Community Features: Biking, Hiking

Exterior

Construction

  • Number Of Units Total: 6
  • Stories Total: 2
  • Year Built: 1916
  • Common Walls: No Common Walls
  • Entry Level: 1
  • Entry Location: Ground Level

Measurements

  • Building Area Total: 5,073
  • Building Area Units: Square Feet
  • Lot Features: 0-1 Unit/Acre
  • Lot Size Acres: 19.85
  • Lot Size Area: 864,776
  • Lot Size Source: Owner
  • Lot Size Square Feet: 864,776
  • Lot Size Units: Square Feet

Financial

Residential Income

  • Cap Rate: 3.08
  • Gross Income: $180,000.00
  • Operating Expense: $60,000.00

Taxes

  • Parcel Number: 8503001029

Other

Location

  • Tax Lot: 29

Utilities

Equipment

  • Water Source: Public

Frequently Asked Questions

How many bedrooms does this multi-family home have?

There is bedrooms in this multi-family home at 537 Cloverleaf Dr.

How does 537 Cloverleaf Dr compare to other multi-family homes in Cloverleaf Canyon?

This multi-family home is listed 39% below the average price for multi-family homes in Cloverleaf Canyon and has been on the market for 155 more days than the typical home in this area.

537 Cloverleaf Dr is a -bedroom multi-family home for sale in Monrovia CA 91016. On Prevu for 198 days at $3,300,000. This includes a recent price decrease of $200,000. This home is located in Monrovia. The median listing price for multi-family homes in this area is $5,413,000. The home offers parking. Explore more multi-family home listings in Monrovia.

Based on information from California Regional Multiple Listing Service, Inc. and/or other sources. All data, including all measurements and calculations of area, is obtained from various sources and has not been, and will not be, verified by Prevu or the MLS. Information is provided exclusively for consumer's personal, non-commercial use and may not be used for any purpose other than to identify prospective properties consumer may be interested in purchasing.

Full MLS Disclaimers

Rebate estimate is indicative only and based on listing price and estimated buyer's agent commission paid by owner, if applicable. Final rebates are subject to Terms of Use and may vary due to final negotiated transaction terms.