Prevu by reAlpha
BuySellBlogBrowse Listings

1717 Sexton AvenueBronx, NY 10469

For Sale

$480,000

Smart Buyer Rebate - Ask

VACANT LOT R5-Zoned, offering the possibility of building either a one-family or two-family home, subject to all required approvals from the City of New York, Bronx County. Property. Description: 1717 SEXTON PLACE, Bronx, New York, 10469.
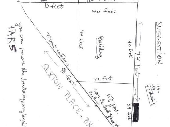
Residential development or parking lot. Block 4752 | Lot 154 Lot Frontage: 90 FEET X 52 FEET X 74 FEET (See city diagram)
Zoning: R5 Maximum buildable residential area FAR 5 Buildable: 40 feet high 2 or 3 floors – 90 feet front, with setback
Possible to build a three or four-story building with options for single-family, two-family, or multifamily use. Basement as a duplex, AND Attic. On a nice residential block close to the 5 train. Zoning permits construction of three or four-story buildings for various residential configurations. Triangular lot shape allows for multiple buildings or a single building with a wide facade. Development Opportunity: - Located in a rapidly developing area with high demand expected from young professionals and artists due to proximity to the city and public transportation. Considered a prime development opportunity with potential for significant demand upon completion.
EXECUTIVE SUMMARY Calling all investors, developers, and end-users to acquire a prominently situated .11 acre residential site. The Property Is Located In The heart of Baychester area in Bronx on a quiet residential street right off of Eastchester Rd & Just Minutes From I-95 and Bruckner Expressway, and so much more. Neighbors Include Mall at Bay Plaza, NY Health Hospitals/Jacobi, Walgreens, Haften Park, Haften Swimming Pool, Workmen’s Circle, Apple Stores, Aldo, Chick Fil A, Dallas BBQ, Marshall's, Nike Stores, Olive Garden, Starbucks, Stop & Shop and McDonald's. This could be your next development site/ business location. Inquire today for more information and on-site capabilities.

Listed by Jampa Nyandak

·

Keller Williams Realty Group

·

914-713-3270

Last updated December 10, 2025

·

Source: OneKey #939437

Listing Facts

  • TypeMulti-family
  • NeighborhoodBaychester
  • Days on Prevu14
  • Taxes$114.72/year

Location

Mortgage Calculator

Listing History

12/10/2025
Price Decreased
$480,000
11/27/2025
Listed by Keller Williams Realty Group
$500,000

Estimated Closing Costs

Total
$18,571
Attorney Fees
$4,000
Title Insurance
$2,160
Bank Attorney
$1,500
Mortgage Recording Tax
$6,911
Other Closing Costs
$4,000

Estimated closing costs are based on the list price of $480,000 and a 20% downpayment. These estimates are for indicative purposes only. Actual closing costs may vary for each transaction. See the Closing Costs Calculator for calculations specific to your situation.

Property Details for 1717 Sexton Avenue

Exterior

Construction

  • Number Of Units Total: 2
  • Property Condition: Actual, To Be Built
  • Year Built: 1925
  • Architectural Style: Other
  • Construction Materials: Other

Measurements

  • Building Area Units: Square Feet
  • Lot Size Acres: 0.09
  • Lot Size Square Feet: 4,243

Financial

Taxes

  • Parcel Number: 04752-0154
  • Tax Annual Amount: $114.72
  • Tax Assessed Value: $9,360.00
  • Tax Year: 2025

Interior

Features

  • Interior Features: Other

Parking

Parking

  • Parking Features: Driveway, On Street

Schools

Elementary School

  • Elementary School: Baychester Academy
  • Elementary School District: Bronx 11

High School

  • High School: Harry S Truman High School
  • High School District: Bronx 11

Middle or Junior School

  • Middle Or Junior School: Jhs 144 Michelangelo
  • Middle Or Junior School District: Bronx 11

Utilities

Equipment

  • Heating: None, Other
  • Sewer: Public Sewer
  • Utilities: Electricity Available, Natural Gas Available, Sewer Available, Trash Collection Public, Water Available

Frequently Asked Questions

How many bedrooms does this multi-family home have?

There is bedrooms in this multi-family home at 1717 Sexton Avenue.

What schools are nearby to 1717 Sexton Avenue?

Nearby schools include the Baychester Academy Elementary School, Jhs 144 Michelangelo Middle School, and Harry S Truman High School.

What are the annual taxes for 1717 Sexton Avenue?

Annual taxes for this multi-family home are estimated at $114.

How does 1717 Sexton Avenue compare to other multi-family homes in Baychester?

This multi-family home is listed 45% below the average price for multi-family homes in Baychester and has been on the market for 61 less days than the typical home in this area.

1717 Sexton Avenue is a -bedroom multi-family home for sale in Bronx NY 10469. Available on Prevu for 14 days at $480,000. This includes a recent price decrease of $20,000. This residence is located in Baychester. The median listing price for multi-family homes in this area is $650,000. Nearby schools include Baychester Academy Elementary School, Jhs 144 Michelangelo Middle School, and Harry S Truman High School. View other multi-family home listings in Bronx.

The data relating to real estate for sale on this website comes in part from the IDX Program of OneKey™ MLS. The source of the displayed data is either the property owner or public record provided by non-governmental third parties. It is believed to be reliable but not guaranteed. This information is provided exclusively for consumers’ personal, non-commercial use. Information Copyright 2025, OneKey™ MLS. All Rights Reserved.

Full MLS Disclaimers

Rebate estimate is indicative only and based on listing price and estimated buyer's agent commission paid by owner, if applicable. Final rebates are subject to Terms of Use and may vary due to final negotiated transaction terms.