Prevu by reAlpha
BuySellBlogBrowse Listings

1139 Hyde Park AveBoston, MA 02136

For Sale

$600,000

Smart Buyer Rebate - Ask

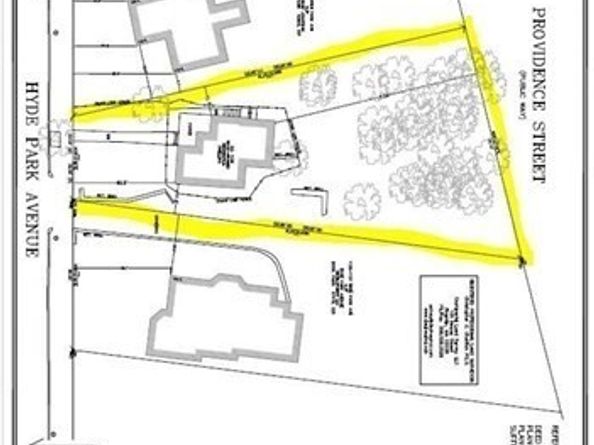
RARE 14,000 SF Hyde Park Development Opportunity! This exceptionally large lot is primed for significant residential redevelopment. Current architectural work suggests potential for 5 to 6 high-end townhouses. For a larger investor, the site's dimensions could accommodate a substantial 20 to 25-unit condo or rental building. Or, for owner-occupied use, this lot is ideal for a multi-family dwelling of 4 units. Owners have proactively engaged the City of Boston and received supportive feedback on preliminary concepts. No formal plans or permits have been submitted at this time. The driveway in one of the pics shows a highlighted area, and that is an easement with 1135-1137 property. That will allow for using it during construction. This is a must-see site for any well-resourced team seeking maximum return in the robust Boston market. Selling lot as is.

Listed by Alex E. Edwards

·

Thumbprint Realty, LLC

·

857-453-0148

Listed by Jeremy Brandon

·

Thumbprint Realty, LLC

Last updated November 25, 2025

·

Source: MLSPin #73456634

Listing Facts

  • TypeSingle-family
  • NeighborhoodStony Brook - Cleary Square
  • Days on Prevu24
  • Taxes$3,882/year
  • Size2,000 sqft
  • Price per sqft$300

Amenities

  • Air Conditioning
  • Parking

Location

Mortgage Calculator

Listing History

11/20/2025
Listed by Thumbprint Realty, LLC
$600,000

Property Details for 1139 Hyde Park Ave

Association

Amenities

  • Community Features: Public Transportation, Shopping, Tennis Court(s), Park, Walk/Jog Trails, Medical Facility, Laundromat, Bike Path, Conservation Area, Private School, Public School, T-Station

Exterior

Construction

  • Year Built: 1900
  • Year Built Details: Approximate
  • Architectural Style: Other (See Remarks)

Features

  • View: City View(s)

Measurements

  • Building Area Total: 2,000
  • Building Area Units: Square Feet
  • Lot Features: Wooded, Easements, Additional Land Avail., Fill Needed, Gentle Sloping
  • Lot Size Acres: 0.32
  • Lot Size Area: 0
  • Lot Size Square Feet: 14,000
  • Lot Size Units: Acres

Financial

Taxes

  • Parcel Number: W:18 P:08888 S:000,1338887
  • Tax Annual Amount: $3,882.00
  • Tax Assessed Value: $335,200.00
  • Tax Year: 2025

Interior

Measurements

  • Living Area: 2,000
  • Living Area Source: Other

Rooms

  • Basement: Unfinished

Parking

Parking

  • Open Parking Spaces: 5
  • Open Parking: Yes
  • Parking Features: Paved Drive
  • Parking Total: 5

Utilities

Equipment

  • Cooling: Central Air
  • Has Cooling: Yes
  • Heating: Natural Gas
  • Has Heating: Yes
  • Sewer: Public Sewer
  • Water Source: Public

Frequently Asked Questions

How many bedrooms does this single-family home have?

There is bedrooms in this single-family home at 1139 Hyde Park Ave.

Does this single-family home have parking?

Yes, there are 5 parking spaces available for 1139 Hyde Park Ave.

What are the annual taxes for 1139 Hyde Park Ave?

Annual taxes for this single-family home are estimated at $3,882.

How does 1139 Hyde Park Ave compare to other single-family homes in Stony Brook - Cleary Square?

This single-family home is listed 17% below the average price for single-family homes in Stony Brook - Cleary Square and has been on the market for 57 less days than the typical home in this area.

What is the square footage on this single-family home?

According to the MLS, this listing is 2,000 sqft.

1139 Hyde Park Ave is a -bedroom single-family home for sale in Boston MA 02136. Listed on Prevu for 24 days at $600,000. This property features 2,000 square feet of living space, located in Boston. The median listing price for single-family homes in this area is $645,000. Additional amenities include air conditioning and parking. Browse more single-family home listings in Boston.

The property listing data and information, or the Images, set forth herein were provided to MLS Property Information Network, Inc. from third party sources, including sellers, lessors, landlords and public records, and were compiled by MLS Property Information Network, Inc. The property listing data and information, and the Images, are for the personal, non commercial use of consumers having a good faith interest in purchasing, leasing or renting listed properties of the type displayed to them and may not be used for any purpose other than to identify prospective properties which such consumers may have a good faith interest in purchasing, leasing or renting. MLS Property Information Network, Inc. and its subscribers disclaim any and all representations and warranties as to the accuracy of the property listing data and information, or as to the accuracy of any of the Images, set forth herein.

Full MLS Disclaimers

Rebate estimate is indicative only and based on listing price and estimated buyer's agent commission paid by owner, if applicable. Final rebates are subject to Terms of Use and may vary due to final negotiated transaction terms.